2518 DOMINION Road
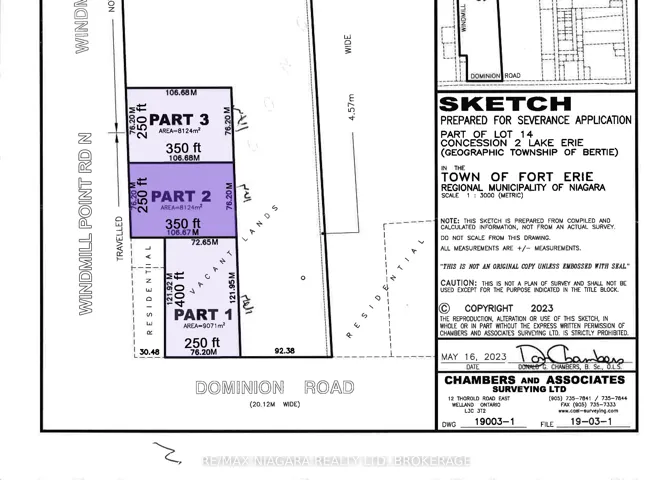
Discover the perfect opportunity to build your dream home on this expansive 2-acre rural lot, fronting onto Windmill Point Rd N. Enjoy the peaceful countryside lifestyle while remaining close to all the conveniences of Fort Erie, Ridgeway, and Crystal Beach. With 250 feet of frontage and 350 feet of depth, this lot offers plenty of space to design and create the home you’ve always envisioned. Essential services such as hydro, natural gas are at the lot line and municipal water is available, providing ease for future development. Part 1 on the survey sketch is also for sale, separately. Situated on Windmill Point Rd N, you’ll have quick access to the southern shores of Lake Erie, perfect for launching a kayak or paddleboard. Outdoor enthusiasts will also appreciate the proximity to the 26km Friendship Trail, ideal for walking, running, and cycling. For commuters, the location is highly convenient: just a 5-minute drive to the QEW for easy access to Niagara Falls and Toronto, or a 10-minute drive to the Peace Bridge, connecting you to Buffalo, NY.
This is a common note that can be displayed on all properties but controlled from one simple option.
Immerse yourself in the captivating ambiance of our properties. Book a personalized tour to explore the exquisite beauty and unique features of our property.
Our knowledgeable staff will guide you through the property, answering any questions you may have.
$579,900.00
Added: December 29, 2025
$499,000.00
Added: December 1, 2025
$149,900.00
Added: January 26, 2026
Owning a home is a keystone of wealth… both financial affluence and emotional security.
Suze Orman