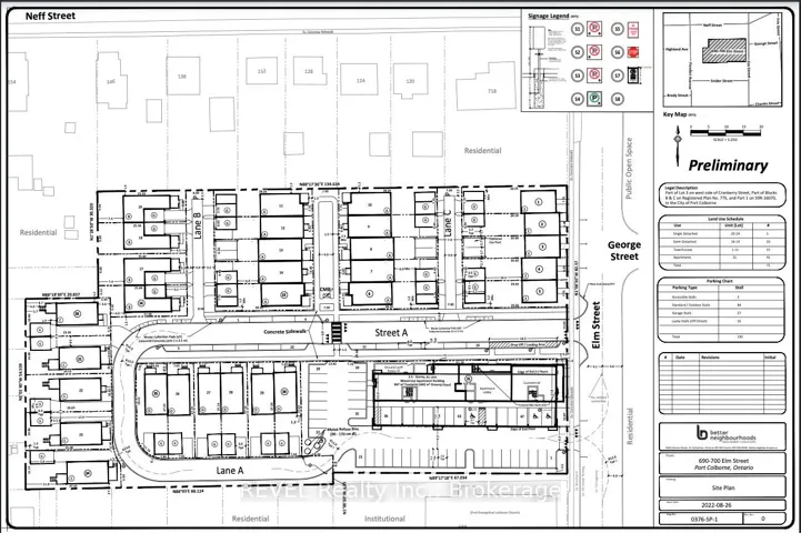
690-700 Elm Street
Rare opportunity to acquire a prime development land opportunity in the growing waterfront community of Port Colborne. 690-700 Elm Street presents exciting future potential for builders, developers, and investors looking for their next Niagara project. The municipality has previously supported the proposed site plan, with updates required to reflect current cost estimates and municipal requirements. A municipal site plan agreement is in place outlining servicing, parking, access, and design requirements, offering meaningful direction for those exploring the property’s potential. Positioned close to amenities, waterfront access, and key routes, this is the kind of opportunity that is becoming increasingly difficult to find.
This is a common note that can be displayed on all properties but controlled from one simple option.
Immerse yourself in the captivating ambiance of our properties. Book a personalized tour to explore the exquisite beauty and unique features of our property.
Our knowledgeable staff will guide you through the property, answering any questions you may have.
$1,500,000.00
Added: November 10, 2025
$575,000.00
Added: April 9, 2026
$299,900.00
Added: March 30, 2026
Owning a home is a keystone of wealth… both financial affluence and emotional security.
Suze Orman